Báo Pháp Luật TP. Hồ Chí Minh
Từ khóa
Tìm thấy
9
kết quả
#bão trên biển Đông
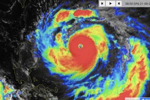
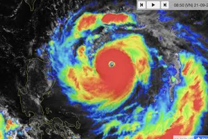
Dự báo bão Ragasa khi vào Biển Đông có khả năng thành siêu bão
21/09/2025 09:57
Áp thấp nhiệt đới suy yếu, nhiều tỉnh đang mưa rất to
16/07/2024 10:06
Các tàu chở khách đi, đến Phú Quốc đã hoạt động lại
14/07/2022 12:05
Tạm dừng hoạt động các tàu chở khách đi, đến Phú Quốc do thời tiết xấu
11/07/2022 11:12
Mưa bắt đầu to dần từ Quảng Bình đến Quảng Ngãi
07/10/2020 12:13
Bão số 1 sẽ tăng cấp, Bắc bộ có mưa to
13/06/2020 09:04
Sẽ có 10-12 cơn bão, áp thấp nhiệt đới trong năm 2019
11/05/2019 16:08
Bão số 9 giật cấp 12 hướng thẳng vào Nam Trung bộ
22/11/2018 15:25
Xuất hiện bão Maysak hoạt động mạnh trên vùng biển Philippines
02/04/2015 20:03
Xem thêm
Đọc nhiều
Tiện ích
Tiện ích
Lịch tư vấn pháp luật
Bạn đọc góp ý
Liên hệ quảng cáo
Thông tin tòa soạn
Dịch vụ công CATP
Chế độ tối
Tin mới
Danh mục
Tất cả chuyên mục
Thời sự
Chính trị
Thời luận
Chính kiến
Cùng lên tiếng
Pháp luật
Chat với chuyên gia
Chính sách mới
Luật và đời
Kinh tế
Pháp lý 4.0
Quản lý
Doanh nghiệp - Cộng đồng
Phát triển Xanh
Gỡ vướng pháp lý
Đơn vị tiêu biểu
Tài chính Xanh
Đô thị
Giao thông
Môi trường
An ninh trật tự
Hồ sơ phá án
Quốc tế
Sự kiện
Quân sự
Muôn mặt
Xã hội
Giáo dục
Chọn trường - Chọn nghề
Sức khỏe
Bác sĩ online
Văn hóa
Ăn sạch sống khỏe
Thể thao
Trong nước
Quốc tế
Fair Play
Các môn khác
Video
Bạn đọc
Ý kiến bạn đọc
Tôi muốn hỏi
Cải chính
Tổ ấm tôi mơ
Thị trường - Tiêu dùng
Nhịp sống đô thị
Đèn trên biển
Thư viện ảnh
Chuyện ra khơi
Tin tức
Tài chính - Ngân hàng
Pháp lý cho kiều bào
Xe và Luật
Bất động sản
Kỷ nguyên số
Văn bản pháp luật
Trang địa phương
Video
E-Magazine
Infographic
Ảnh
Story
LENS
Mới nhất
Xem nhiều
Tin nóng