Bão Trà Mi giật cấp 14 đang hướng vào Trung Trung Bộ

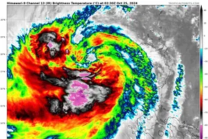
(PLO)- 7 giờ sáng nay, bão Trà Mi đang ở trên vùng biển phía Đông Bắc quần đảo Hoàng Sa với cường độ cấp 11, giật cấp 14.

0:00 / 0:00
0:00
  • Nam miền Bắc
  • Nữ miền Bắc
  • Nữ miền Nam
  • Nam miền Nam

Trung tâm Dự báo Khí tượng thuỷ văn quốc gia cho biết, sáng nay, 26-10, tâm bão Trà Mi (bão số 6) đang ở trên vùng biển phía Đông Bắc quần đảo Hoàng Sa.

Sức gió mạnh nhất vùng gần tâm bão đang ở thời điểm được dự báo là mạnh nhất với cường độ mạnh cấp 11 (103-117 km/giờ), giật cấp 14. Bão di chuyển nhanh theo hướng Tây, tốc độ khoảng 20 km/giờ.

Dự báo đến 7 giờ sáng mai, bão Trà Mi vào đến vùng biển ngoài khơi Trung Trung Bộ. Lúc này, bão vẫn giữ cường độ cấp 11, giật cấp 14.

bão Trà Mi.png
Dự báo đường đi của bão Trà Mi. Ảnh: KTTVQG

Tại cuộc họp ứng phó với bão Trà Mi diễn ra chiều qua do Bộ NN&PTNT tổ chức, ông Mai Văn Khiêm, Giám đốc Trung tâm Dự báo Khí tượng thuỷ văn quốc gia, cho biết bão Trà Mi có hoàn lưu rộng. Vùng gió mạnh trên cấp 8 có bán kính khoảng 250 km.

Ông Khiêm đưa ra hai kịch bản dự báo cho cơn bão này. Kịch bản 1: Bão di chuyển sát đất liền rồi ngược trở lại ra biển. Với kịch bản này khu vực ven biển từ Quảng Trị, Thừa Thiên Huế, Đà Nẵng, Quảng Nam, Quảng Ngãi gió cấp 6-8, giật cấp 10.

Kịch bản 2 là bão di chuyển vào đất liền Trung Bộ sau đổi hướng đi ra ngoài. Với kịch bản này khu vực ven biển từ Quảng Trị, Thừa Thiên Huế, Đà Nẵng, Quảng Nam, Quảng Ngãi gió cấp 7-9, giật cấp 11, 12; sâu trong đất liền cấp 6-7, giật cấp 10.

Tuy nhiên, dù ở kịch bản nào thì bão Trà Mi cũng gây gió mạnh, sóng lớn, mưa lớn trên vùng biển và đất liền Trung Trung Bộ từ chiều hôm nay và kéo dài đến 28, 29-10.

Gió mạnh, sóng lớn, nước dâng:

Dự báo do ảnh hưởng của bão, khu vực Bắc Biển Đông gió mạnh cấp 8-9, vùng gần tâm bão đi qua cấp 10-11 (89-117 km/giờ), giật cấp 14, sóng biển cao 5,0-7,0m, vùng gần tâm bão 7,0-9,0m; biển động dữ dội.

Từ đêm nay, vùng biển các tỉnh từ Quảng Bình đến Quảng Ngãi (bao gồm đảo Cồn Cỏ, Cù Lao Chàm, Lý Sơn) có gió mạnh dần lên cấp 6-7, sau tăng lên cấp 8-9, vùng gần tâm bão đi qua cấp 10-11, giật cấp 14, sóng biển cao 3,0-5,0m, vùng gần tâm bão 5,0-7,0m; biển động dữ dội.

Nước dâng do bão vùng ven bờ: Từ sáng ngày 27-10, ven biển các tỉnh từ Quảng Trị tới Quảng Nam có khả năng xuất hiện nước dâng do bão cao từ 0,4-0,6m.

Tàu/thuyền hoạt động trong các vùng nguy hiểm nói trên (đặc biệt trên khu vực huyện đảo Hoàng Sa), khu vực biển ven bờ từ Quảng Bình đến Quảng Ngãi đều có khả năng chịu tác động của dông, lốc, gió mạnh, sóng lớn.

Nguy cơ cao sạt lở đê, kè biển tại ven biển các tỉnh từ Quảng Trị tới Quảng Nam do tác động của sóng lớn và nước dâng do bão.

Tác động mưa lớn: Từ chiều hôm nay và kéo dài đến 28, 29-10, khu vực Quảng Bình đến Quảng Ngãi có mưa to đến rất to với lượng mưa phổ biến từ 300-500mm, cục bộ có nơi trên 700mm. Cảnh báo nguy cơ có mưa cục bộ cường suất lớn (>100mm/3giờ).

Khu vực Hà Tĩnh-Quảng Bình, Bình Định và Bắc Tây Nguyên mưa to với lượng mưa phổ biến từ 100-200mm, có nơi trên 300mm; Cảnh báo nguy cơ có mưa cục bộ cường suất lớn (>100mm/6giờ).

“Diễn biến bão số 6 còn rất phức tạp và có thể có thay đổi. Cần lưu ý cập nhật trong các bản tin bão tiếp theo” - Trung tâm Dự báo Khí tượng thuỷ văn quốc gia đặc biệt lưu ý.

Chủ động các kịch bản ứng phó với bão Trà Mi

Chiều 25-10, Bộ NN&PTNT tổ chức họp về công tác triển khai ứng phó với bão Trà Mi (bão số 6).

Tại hội nghị, Bộ trưởng Bộ NN&PTNT Lê Minh Hoan nhấn mạnh, để đối phó với cơn bão 6, các bộ, ngành, địa phương chủ động đưa ra những tình huống, kịch bản ứng phó, nhằm hạn chế thiệt hại về tài sản, tính mạng của người dân.

Các địa phương rà soát, triển khai các biện pháp bảo đảm an toàn đối với các hoạt động du lịch, nuôi trồng, khai thác thủy hải sản trên biển. “Kiên quyết sơ tán người dân trên lồng bè, chòi canh nuôi trồng thủy sản đến nơi an toàn. Đồng thời, theo dõi sát tình hình, chủ động chỉ đạo triển khai có hiệu quả công tác phòng, chống bão, lũ theo nhiệm vụ, thẩm quyền đã được phân công; bảo đảm an toàn đê điều, hồ đập” - Bộ trưởng Hoan yêu cầu.

Thứ trưởng Bộ NN&PTNT Nguyễn Hoàng Hiệp cũng nhấn mạnh, đây là cơn bão đầu tiên ảnh hưởng vào khu vực miền Trung. Dự báo đường đi và diễn biến còn phức tạp, có thể gây mưa lớn trong những ngày tới.

“Dự báo cơn bão này có thể gây ra lũ lụt như năm 2020 ở miền Trung” - ông Hiệp nói.

Theo Thứ trưởng Hiệp, bão đổ bộ đất liền lúc triều cường thấp, mực nước ở các hồ chứa đang thấp nên tác động sẽ giảm. Tuy nhiên, các địa phương cần lưu ý, cơn bão này có thể không lớn, nhưng thời gian lưu sóng rất lâu nên khả năng gây sạt lở bờ biển rất lớn. Các địa phương cần nghiên cứu cấm biển dài hơn vì đây là cơn bão có sóng lớn, có khả năng vào rồi quay ra.

Đừng bỏ lỡ

Video đang xem nhiều

Đọc thêm