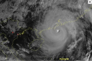
Bản tin trưa 25-9: Bão số 9 đổ bộ vào tỉnh Quảng Ninh; cựu tổng giám đốc SJC Lê Thúy Hằng cùng đồng phạm hầu tòa 25/09/2025 12:00