Vào khoảng 4h40 sáng nay, bão Haiyan ập vào đảo Samar, miền trung Philippines, cách thủ đô Manila 600 km về phía đông nam và nhanh chóng di chuyển về phía tây bắc, AFP dẫn lời Romeo Cajulis, nhà khí tượng học của Philippines, cho biết.
"Sức gió 310 km/h, hiếm có tòa nhà nào chịu đựng được gió mạnh như thế", Jeff Masters, một nhà khí tượng học chuyên nghiên cứu các cơn bão nhiệt đới, nhận xét. Ông cho rằng đây là cơn bão mạnh nhất khi đổ bộ được ghi nhận trên toàn thế giới. và cảnh báo sẽ có thiệt hại nghiêm trọng.

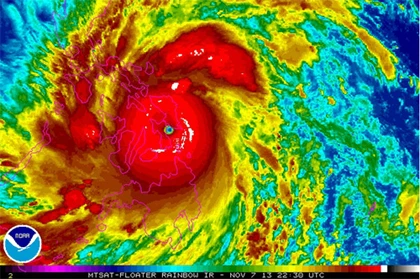
Tầm ảnh hưởng của siêu bão Haiyan. Ảnh vệ tinh chụp Haiyan của NOAA ngày 7/11.
Tổng thống Philippines Benigno Aquino hôm qua cảnh báo người dân chuẩn bị mọi thứ có thể trước cơn bão, khi nó đang di chuyển với sức gió giật đến 380 km/h và tiến gần nước này. "Thưa tất cả các quan chức địa phương, khu vực của các vị đang đối mặt với một sự nguy hiểm nghiêm trọng. Hãy làm tất cả những thứ chúng ta có thể khi Haiyan chưa ập vào đất liền", Aquino nói trên truyền hình.
Tổng thống kêu gọi người dân giúp đỡ lẫn nhau và giữ bình tĩnh, đặc biệt khi mua nhu yếu phẩm và lúc di chuyển đến nơi an toàn hơn. Ông cảnh báo những khu vực bị ảnh hưởng trong phạm vi 600 km của siêu bão có khả năng sẽ ngập lụt nghiêm trọng và chịu gió lớn gây thiệt hại, còn ở các vùng duyên hải, sóng có thể cao 6 đến 7 m. 12 triệu dân Philippines đang gặp nguy hiểm khi bão Haiyan tấn công.
Công tác sơ tán đang diễn ra ở nhiều thị trấn và làng mạc nằm trong phạm vi cơn bão đi qua, nhiều trường học đã đóng cửa, các chuyến phà và tàu thuyền đều ngưng hoạt động để đảm bảo tính mạng cho người dân. Các hãng hàng không thông báo hoãn hàng trăm chuyến bay nội địa và quốc tế.
Trung tâm Cảnh báo Bão của Hải quân Mỹ hôm qua cũng đã dự đoán siêu bão Haiyan được coi là mạnh nhất thế giới trong năm. Siêu bão là gì?

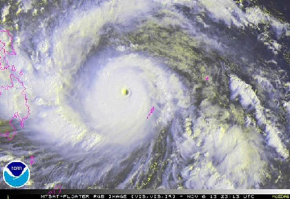
Ảnh vệ tinh siêu bão Haiyan ngày 6/11, chuẩn bị đổ bộ vào Phillippines. Ảnh: NOAA
Siêu bão Haiyan tấn công các khu vực vẫn đang khắc phục hậu quả của cơn bão năm 2011 và trận động đất 7,1 độ Richter mới xảy ra tháng trước. Ở tỉnh Bohol, tâm chấn của trận động đất khiến 222 người thiệt mạng, và là nơi trú ngụ của 5.000 người trong những lều trại tạm bợ.
Các khu vực khác cũng sẽ chịu ảnh hưởng của siêu bão bao gồm các thành phố cảng Cagayan de Oro và Iligan, nơi lũ quét của cơn bão nhiệt đới Washi tháng 12/2011 đã làm hơn 1.000 người thiệt mạng.
Trung bình mỗi năm, người dân Philippines phải hứng chịu sự tàn phá của khoảng 20 cơn bão lớn. Bopha, cơn bão mạnh nhất thế giới năm 2012 đổ bộ vào nước này khiến hơn 2.000 người dân ở đảo Mindanao thiệt mạng hoặc mất tích.

Sơ đồ dự đoán đường đi của siêu bão Haiyan, do Cơ quan khí tượng Nhật Bản đưa ra ngày 7/11.
Đối với người Philippines, điều an ủi nhỏ nhoi duy nhất trong cơn bão này có lẽ là nó di chuyển rất nhanh, tốc độ hiện nay là gần 40km/h và như vậy lượng mưa trút xuống không quá lớn đến mức gây lở đất nghiêm trọng. "Nhưng tác hại do gió gây ra sẽ là tồi tệ nhất trong lịch sử Philippines từ trước đến nay", chuyên gia Master nói.
Sau khi quét qua địa phận Phillipines và Biển Đông, siêu bão được dự đoán sẽ đổ bộ vào Lào và Việt Nam vào ngày 10/11.
Master dự đoán rằng bão Haiyan sẽ là mối đe dọa nghiêm trọng với Việt Nam và Lào, có thể trở thành một trong 5 thiên tai lớn nhất trong năm cho hai nước này. Theo dự báo của nhiều cơ quan khí tượng quốc tế, bão sẽ vào miền trung của Việt Nam.
Theo Thùy Linh - Trọng Giáp (VNE)