Hi hữu: Vòng tránh thai 'lạc trôi' xuyên thành bàng quang

(PLO)- 10 năm sau khi đặt vòng, chiếc vòng tránh thai được phát hiện đã từ tử cung "chui" vào thành bàng quang.

Ngày 4-6, thông tin từ Bệnh viện (BV) đa khoa Trung ương Cần Thơ cho biết nơi đây vừa phẫu thuật thành công lấy vòng tránh thai lạc chỗ xuyên thành bàng quang cho một phụ nữ.

Bệnh nhân là chị ĐTN (39 tuổi, ngụ tỉnh Hậu Giang) 10 năm trước đã đến mụ vườn đặt vòng tránh thai. Khoảng 4 tháng nay, khi chị đi lấy vòng ra thì được BV thông báo không thấy vòng tránh thai trong lòng tử cung. Nghĩ vòng đã lọt ra ngoài nên chị N. không đi kiểm tra lại.

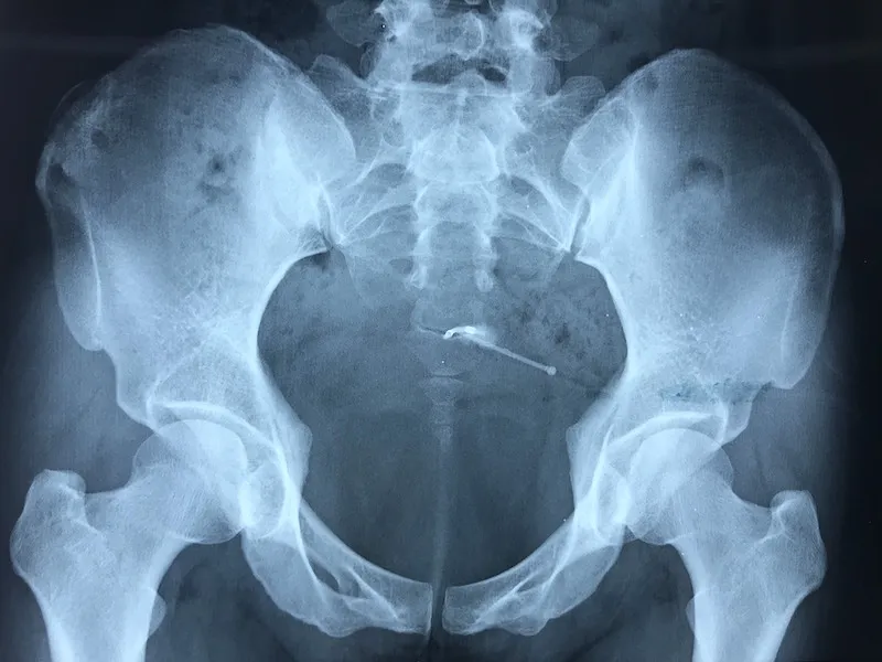
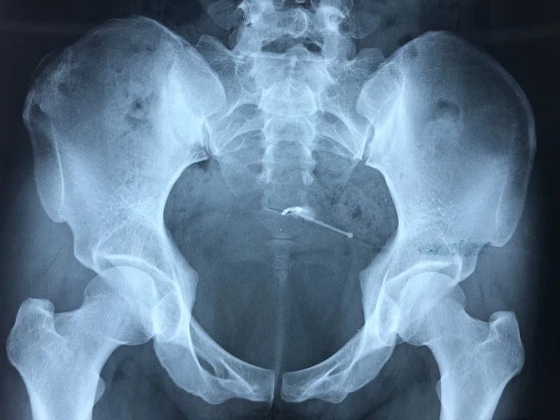
Hình ảnh X-quang cho thấy vòng chữ "T" nằm ở bàng quang chị N. Ảnh: HẢI DƯƠNG

Gần đây, chị N. thấy bị đau nhiều vùng hạ vị kèm tiểu gắt, tiểu ngưng giữa dòng nên nhập viện. Kết quả siêu âm cho thấy có sỏi bàng quang kích thước 9x17 mm. BS đã phẫu thuật nội soi để lấy sỏi ra.

Điều ngạc nhiên là khi lấy sỏi, BS phát hiện có dị vật xuyên thành bàng quang tạo thành một khối đường kính khoảng 5 mm. Nhưng do dị vật bám chắc vào thành bàng quang nên không thể lấy qua nội soi.

Tiến hành chụp cắt lớp vi tính ghi nhận dụng cụ tránh thai lạc chỗ vùng ngoài tử cung cạnh thành trên, xuyên thành bàng quang. Các BS đã hội chẩn và chỉ định phẫu thuật lấy vòng ra. Chiếc vòng được bao chặt bởi các cơ xung quanh, đó là lý do khi siêu âm không phát hiện được.

Các BS khuyến cáo sau khi đặt vòng tránh thai, chị em cần tuân thủ thăm khám định kỳ để kiểm tra vị trí vòng. Trường hợp lạc vòng trong ổ bụng nếu không được phát hiện kịp thời có thể gây thủng ruột, thủng bàng quan... dẫn đến viêm phúc mạc, nhiễm trùng huyết, rất nguy hiểm cho sức khỏe.

Đừng bỏ lỡ

Video đang xem nhiều

Đọc thêm