Hủy 15 sổ hồng cấp trái quy định vụ đấu giá đất ở Phan Thiết

(PLO)- 21 lô đất với diện tích hơn 2.700 m2 chỉ một người trúng đấu giá nhưng cơ quan chức năng lại cấp cho 16 người.

Ngày 31-8, nguồn tin của PLO cho biết UBND TP Phan Thiết (Bình Thuận) đã có quyết định thành lập Hội đồng kỷ luật để xem xét, xử lý kỷ luật đối với ông Lương Hoàng Quốc, Phó Phòng TN&MT TP Phan Thiết.

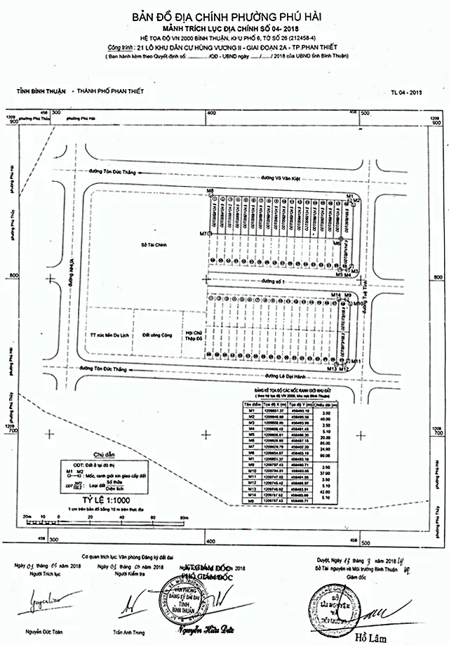
Bản đồ khu đất đấu giá.

Ông Quốc được xác định là người có sai phạm liên quan đến việc cấp sổ hồng cho 21 lô đất trúng đấu giá tại Khu dân cư Hùng Vương II, giai đoạn 2 TP Phan Thiết.

Đây là 21 lô đất “vàng” nằm trên mặt tiền đường Võ Văn Kiệt mà Trung tâm Dịch vụ đấu giá tài sản Bình Thuận bán đấu giá vào tháng 4-2019.

Theo hồ sơ, trong 21 lô đất thì 17 lô đều có diện tích 124,5 m2; bốn lô còn lại có diện tích từ 140 m2 - 185 m2. Các lô đất này được đấu giá với phương thức chung một lần với tổng diện tích 2.760 m2, giá khởi điểm 122,5 tỉ đồng.

Ngày 26-4-2019, ông NHH đã trúng đấu giá 21 lô đất nói trên với giá 123,75 tỉ đồng.

Lẽ ra sau đó UBND TP Phan Thiết phải cấp giấy chứng nhận (GCN) 21 lô đất cho người trúng đấu giá là ông NHH. Tuy nhiên tháng 10-2019, ông Lương Hoàng Quốc lại trình hồ sơ cho UBND TP Phan Thiết chỉ cấp sáu lô cho ông H., 15 lô còn lại cấp cho 15 cá nhân khác.

Theo nguồn tin của PLO, 15 cá nhân nói trên là những người nằm trong “liên danh” với ông H., tuy nhiên việc cấp GCN này là trái quy định của pháp luật.

Thế nhưng hành vi sai phạm này phải đến tám tháng sau mới phát hiện, đến tháng 6-2020, Phòng TN&MT TP Phan Thiết mới tham mưu cho UBND TP Phan Thiết ra quyết định thu hồi và hủy bỏ tính pháp lý 15 GCN đã cấp không đúng quy định nêu trên.

Liên quan đến sai phạm này, ngày 27-8, Hội đồng kỷ luật UBND TP Phan Thiết cũng đã xem xét, đề nghị kỷ luật đối với bà Văn Thị Mỹ Hiếu, chuyên viên Phòng TN&MT TP Phan Thiết.

Ngoài sai phạm khi tham mưu cấp GCN cho 21 lô đất trên, bà Hiếu còn có hai sai phạm khác liên quan về đất đai. Cụ thể, bà Hiếu đã thẩm tra hồ sơ, tham mưu trình cấp GCN trái quy định tại phường Mũi Né và thẩm tra, tham mưu trình cấp GCN chồng lấn đất lâm nghiệp tại xã Tiến Thành.

Khu đất đấu giá.

Đối với ông Lương Hoàng Quốc, ngoài sai phạm trên còn có sai phạm trong vụ án vi phạm các quy định về quản lý đất đai tại TP Phan Thiết mà chủ tịch, phó chủ tịch cùng trưởng Phòng TN&MT và ba nhân viên phòng này vừa bị kết án.

Cụ thể, ông Quốc đã trực tiếp tham mưu ba hồ sơ, cho phép chuyển mục đích sử dụng đất trái pháp luật với tổng diện tích hơn 1.800 m2.

Tuy nhiên theo quy định, với tội vi phạm các quy định về quản lý đất đai, người có chức vụ, quyền hạn chỉ bị xử lý hình sự khi cho phép chuyển mục đích sử dụng đất trái quy định của pháp luật từ 5.000 m2 đến dưới 30.000 m2 (đất trồng lúa); từ 10.000 m2 đến dưới 40.000 m2 (đất nông nghiệp khác và đất phi nông nghiệp) hoặc giá trị quyền sử dụng đất được quy thành tiền từ 500 triệu đến dưới 2 tỉ đồng...

Trường hợp ông Quốc, công an xác định ông chỉ ký tham mưu cho phép chuyển mục đích sử dụng đất trái pháp luật hơn 1.800 m2, giá trị quyền sử dụng đất hơn 100 triệu đồng nên không khởi tố.

Được biết với sai phạm này, ông Quốc đã bị Ủy ban Kiểm tra Thành ủy Phan Thiết xử lý kỷ luật bằng hình thức cảnh cáo.

Trong khi các cơ quan chức năng đang xem xét xử lý về mặt chính quyền thì ông Quốc tiếp tục bị phát hiện có sai phạm.

Đừng bỏ lỡ

Video đang xem nhiều

Đọc thêm