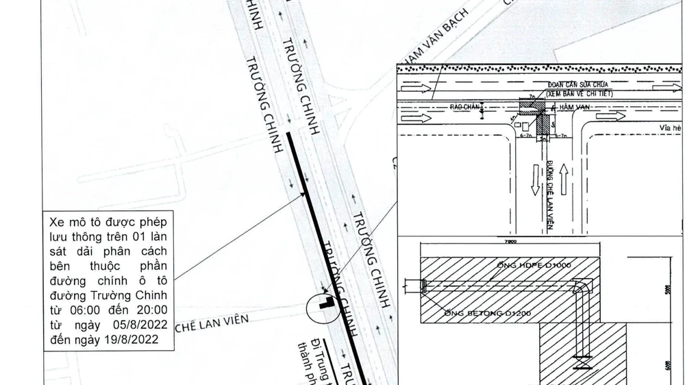
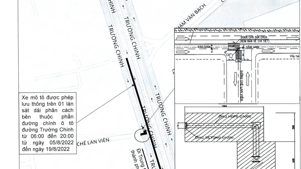
Sở GTVT TP.HCM cho biết tại khu vực giao lộ Trường Chinh - Chế Lan Viên, quận Tân Phú (TP.HCM) đang xảy ra sự cố xì bể tuyến ống cấp nước D1000 thuộc phần đường hỗn hợp đường Trường Chinh theo hướng lưu thông từ đường Phạm Văn Bạch đến đường Chế Lan Viên.
Do đó, Sở GTVT TP thông báo hạn chế lưu thông qua khu vực này để tạo điều kiện cho việc khắc phục sự cố.
![]() |
Sở GTVT TP thông báo hạn chế lưu thông qua đường Trường Chinh - Chế Lan Viên, quận Tân Phú. |
Cụ thể, kể từ 5-8 đến 19- 8, hạn chế các loại xe ô tô lưu thông vào phần đường hỗn hợp đường Trường Chinh, quận Tân Phú (đoạn từ đường Phạm Văn Bạch đến đường Chế Lan Viên) theo hướng từ quận 12 vào trung tâm TP.
Xe mô tô được phép lưu thông trên một làn đường thuộc phần đường chính của ô tô trên đường Trường Chinh (đoạn từ đường Phạm Văn Bạch đến đường Cộng Hòa). Lưu ý, di chuyển sát dải phân cách theo hướng từ đường Phạm Văn Bạch đến đường Cộng Hòa trong khoảng thời gian từ 6 giờ đến 20 giờ.
