Siêu bão Ragasa làm 1 người chết ở Philippines, đang hướng tới Trung Quốc

(PLO)- Siêu bão Ragasa quét qua Bắc Philippines, tiến vào Biển Đông và dự kiến gây mưa to gió mạnh tại nhiều thành phố ven biển Trung Quốc từ chiều tối nay.

0:00 / 0:00
0:00
  • Nam miền Bắc
  • Nữ miền Bắc
  • Nữ miền Nam
  • Nam miền Nam

Cơ quan Khí tượng Philippines (Pagasa) sáng 23-9 cho biết siêu bão Ragasa (tên Philippines là Nando) đang rời khỏi Philippines, không còn địa phương nào phải đặt dưới mức cảnh báo bão số 5 và số 4, theo tờ Inquirer.

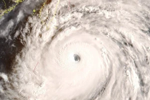
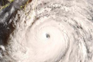
Mắt bão Ragasa được xác định cách đảo Calayan (tỉnh Cagayan) khoảng 265 km về phía Tây, với sức gió duy trì tối đa 185 km/giờ, giật tới 230 km/giờ.

“Ragasa được dự báo sẽ di chuyển theo hướng tây tây bắc cho đến khi ra khỏi khu vực dự báo của Philippines (PAR) trong sáng 23-9. Sau đó, bão sẽ đổi hướng sang phía tây, tiến về miền nam Trung Quốc" - Pagasa cho hay.

Trong khi đó, mức cảnh báo bão số 3 (tốc độ gió từ 89 đến 117 km/giờ trong vòng 18 giờ) vẫn đang duy trì tại một số khu vực ở Philippines.

siêu bão Ragasa
Công nhân đang khẩn trương dọn dẹp hiện trường sau vụ sạt lở đất chặn một đoạn đường cao tốc Marcos ở thị trấn Tuba (tỉnh Benguet) chiều 22-9 khi siêu bão Ragasa càn quét miền bắc Luzon. Ảnh: FACEBOOK

Trước đó, Tổng thống Philippines - ông Ferdinand Marcos Jr đã chỉ đạo cơ quan ứng phó thiên tai đặt trong tình trạng báo động toàn diện và huy động mọi cơ quan chính phủ khi siêu bão Ragasa đổ bộ miền bắc nước này, gây ra mưa lớn, gió giật dữ dội tại tỉnh Cagayan và quần đảo Babuyan.

Chính phủ đã cho đóng cửa các trường học, hoạt động sản xuất, kinh doanh tại thủ đô Manila và nhiều khu vực đảo Luzon. Hàng chục chuyến bay và dịch vụ phà cũng bị hủy.

Siêu bão Ragasa gây sạt lở tại một số khu vực ở Philippines, trong đó khiến 1 người tài xế thiệt mạng và nhiều người bị thương tại khu vực TP Baguio và thị trấn Tuba (tỉnh Benguet, miền bắc Luzon).

. Dù không nằm trên đường đi trực tiếp của bão, song Cơ quan Khí tượng Đài Loan (CWA) đã ban hành cảnh báo trên biển và đất liền từ ngày 22-9 khi bão Ragasa tiến vào Biển Đông.

Hơn 900 người ở vùng núi phía nam và đông Đài Loan đã được sơ tán, 146 chuyến bay nội địa bị hủy, theo hãng tin CNA.

Công ty Đường sắt cao tốc Đài Loan (THSR) cho biết toàn bộ các chuyến tàu sẽ vận hành đúng lịch trong hôm nay 23-9 dựa trên dự báo mới nhất, nhưng cảnh báo gió mạnh và mưa lớn vẫn có thể xảy ra.

THSR kêu gọi người dân sinh sống gần tuyến đường sắt gia cố bảng hiệu, giàn giáo, bạt che… để tránh bị gió cuốn gây nguy hiểm cho an toàn chạy tàu.

. Cơ quan khí tượng Trung Quốc cảnh báo Ragasa có thể đổ bộ nhiều lần vào tỉnh Quảng Đông.

Từ tối 23-9, mưa to và gió mạnh sẽ trút xuống các thành phố ven biển như Giang Môn, Dương Giang, Trung Sơn và Chu Hải.

Chính quyền các địa phương này đã ra lệnh ngừng hoạt động trường học, văn phòng, nhà máy và các phương tiện giao thông. Người dân được kêu gọi tích trữ nhu yếu phẩm, gia cố cửa ra vào, cửa sổ và sơ tán khỏi khu vực ngầm.

. Bão Ragasa được dự báo quét qua phía nam các TP Hong Kong và Macau. Sân bay Hong Kong vẫn mở cửa, nhưng Cơ quan Quản lý sân bay thông báo hoạt động bay sẽ bị cắt giảm mạnh sau 18 giờ ngày 23-9 và hầu hết chuyến bay sẽ bị ảnh hưởng trong ngày 24-9.

Hãng hàng không Cathay Pacific tuyên bố toàn bộ chuyến bay đi và đến Hong Kong sau 18 giờ ngày 23-9 sẽ bị đình chỉ, với hơn 500 chuyến bị hủy.

Hãng giá rẻ HK Express cũng thông báo hủy hơn 100 chuyến từ ngày 23-9 đến ngày 25-9. Các hãng hàng không khác của Hong Kong đều xác nhận bị gián đoạn lịch bay.

Tất cả trường học ở Hong Kong và Macau sẽ đóng cửa trong hai ngày tới. Lực lượng chức năng Hong Kong đã cung cấp thêm bao cát cho các khu vực thường xuyên ngập lụt, trong khi cảnh sát Macau kêu gọi người dân ở vùng trũng chuẩn bị sẵn sàng sơ tán.

Người dân Hong Kong từ đầu tuần đã đổ xô tích trữ nhu yếu phẩm, nhiều siêu thị xuất hiện cảnh xếp hàng dài.

Đừng bỏ lỡ

Video đang xem nhiều

Đọc thêm