Bộ Nông nghiệp và Môi trường họp để ứng phó siêu bão RAGASA giật cấp 17

(PLO)- Chiều 22-9, Bộ Nông nghiệp và Môi trường sẽ họp để triển khai các biện pháp ứng phó siêu bão RAGASA.

0:00 / 0:00
0:00
  • Nam miền Bắc
  • Nữ miền Bắc
  • Nữ miền Nam
  • Nam miền Nam

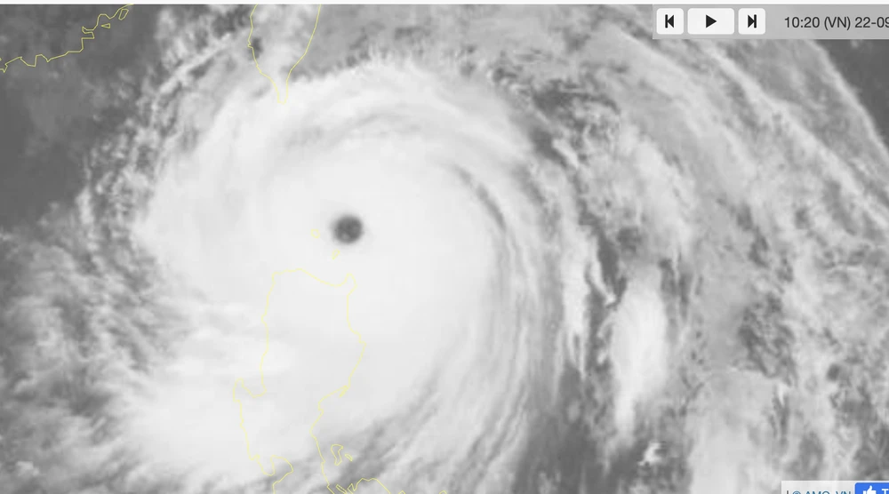
Sáng 22-9, Trung tâm Dự báo Khí tượng thuỷ văn quốc gia cho biết cường độ của siêu bão RAGASA đã mạnh lên cấp 17, giật trên cấp 17.

Dự báo khoảng tối nay, siêu bão RAGASA sẽ đi vào Biển Đông, trở thành cơn bão số 9 năm 2025 tại vùng biển này. Sau khi vào Biển Đông, siêu bão di chuyển nhanh khoảng 20 km/h.

Như vậy, so với thời điểm mạnh nhất của siêu bão Yagi năm 2024 (cấp 16, giật trên cấp 17), siêu bão RAGASA đang mạnh hơn một cấp. Năm 2024, siêu bão Yagi đã gây thiệt hại nặng nề cho nhiều quốc gia mà bão quét qua, trong đó có Việt Nam. Những ám ảnh đó khiến Hội đồng Uỷ ban Bão quốc tế quyết định loại bỏ tên bão Yagi ra khỏi danh sách đặt tên bão.

siêu bão RAGASA.png
Dự báo khoảng tối nay, siêu bão RAGASA sẽ đi vào Biển Đông, trở thành cơn bão số 9 năm 2025 tại vùng biển này.

Theo dự báo của Trung tâm Dự báo Khí tượng thuỷ văn quốc gia, trong 24-48 giờ tới, siêu bão RAGASA vẫn duy trì độ mạnh cực đại ở cấp 16-17, giật trên cấp 17. Thời điểm sáng ngày mai, 23-9, khi ở trên vùng biển phía đông bắc Biển Đông, siêu bão vẫn giữ sức gió từ 202-221km/h (cấp 17), giật trên cấp 17. Toàn bộ vùng biển phía đông khu vực bắc Biển Đông được đánh giá có cấp độ rủi ro thiên tai cấp 4.

Đến sáng sớm ngày 24-9, khi đi qua bán đảo Lôi Châu (Trung Quốc), bão RAGASA vẫn giữ cấp độ siêu bão với cường độ cấp 16-17, giật trên cấp 17. Đến sáng sớm ngày 25-9, khi bão vào vịnh Bắc Bộ, cường độ bão suy yếu còn cấp 13-14, giật cấp 17. Dự báo bão ảnh hưởng trực tiếp đất liền nước ta từ Quảng Ninh đến Hà Tĩnh.

siêu bão RAGASA..png
Sáng nay, siêu bão RAGASA đã được Cơ quan Khí tượng Nhật Bản phân loại là bão cực mạnh, cấp phân loại cao nhất đối với xoáy thuận nhiệt đới ở khu vực Tây Bắc Thái Bình Dương với gió duy trì 10 phút đạt 110 kts (~205 km/h). Siêu bão YAGI năm 2024 chỉ đạt 105 kts.

Do ảnh hưởng của siêu bão RAGASA, vùng biển phía Đông Bắc Biển Đông gió mạnh dần lên cấp 8–9, sau tăng lên cấp 10–14. Vùng gần tâm siêu bão đi qua cấp 15–17, giật trên cấp 17, sóng cao trên 10,0m, biển động dữ dội.

Tàu thuyền trong khu vực nguy hiểm có khả năng chịu tác động của dông, lốc, gió rất mạnh, sóng rất lớn.

Hiện nay siêu bão RAGAS chưa vào Biển Đông, nhưng để chủ động ứng phó với cơn bão rất mạnh có khả năng ảnh hưởng trực tiếp đất liền nước ta, dự kiến chiều 22-9, Bộ Nông nghiệp và Môi trường tổ chức cuộc họp để triển khai các biện pháp ứng phó. Cuộc họp do Thứ trưởng Nguyễn Hoàng Hiệp chủ trì.

Thành phần cuộc họp ngoài các đơn vị của Bộ Nông nghiệp và Môi trường còn có đại diện Bộ Quốc phòng, Bộ Công Thương, Bộ Xây dựng, Bộ Ngoại giao, Bộ Khoa học và Công nghệ

Đừng bỏ lỡ

Video đang xem nhiều

Đọc thêm